
氣象署預報,今(6日)水氣仍偏多,環境吹東南至偏南風,迎風面的南部及東半部地區不定時有短暫陣雨。(示意圖/CTWANT)
今、明(6日、7日)兩天水氣偏多,台灣南部及東半部地區有局部短暫陣雨,清晨中部以北地區亦有零星短暫陣雨,其他地區及澎湖、金門、馬祖為多雲,午後各地有局部短暫雷陣雨。氣象粉專分析,魔羯颱風再度增強,暫時成為今年度的風王。
氣象署預報,今(6日)水氣仍偏多,環境吹東南至偏南風,迎風面的南部及東半部地區不定時有短暫陣雨,其他地區及澎湖、金門、馬祖為多雲到晴,午後各地有局部短暫雷陣雨,在中南部地區降雨機率較高,有局部大雨發生的機會。

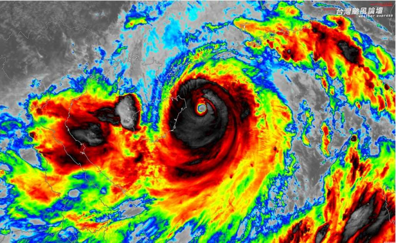
氣象粉專表示,魔羯颱風再度增強,暫時成為今年度的風王。(圖/台灣颱風論壇|天氣特急/CTWANT)
根據氣象署資料,強烈颱風摩羯中心氣壓905百帕,今(6日)8時的中心位置在北緯19.1度,東經112.3度,即在海口東南東方220公里之海面上(鵝鑾鼻西南西方930公里之海面上),以每小時19公里速度,向西北西進行,中心附近最大風速每秒58公尺(即每小時209公里),相當於17級風,瞬間最大陣風每秒73公尺(即每小時263公里),相當於17級風以上,7級風暴風半徑250公里,10級風暴風半徑110公里,預測明(7日)8時的中心位置在北緯20.4度,東經108.2度,即在海口西北西方240公里之海面上(鵝鑾鼻西方1320公里之海面上)。
氣象署指出,第11號強烈颱風摩羯持續朝西北西方向移動,今(6日)起將逐漸影響廣東、海南島、雷州半島、廣西及越南一帶,對台灣天氣無直接影響;此外,日本東方海面的第12號輕度颱風麗琵,距離非常遙遠,對台灣天氣無影響。
氣象粉專《台灣颱風論壇|天氣特急 》表示,魔羯颱風再度增強,近中心風速達到每秒58公尺,暫時成為今年度的風王,颱風中心已經靠近海南島,預計今(6日)傍晚左右就會登陸。