快捷蒐索
今天:

天兔出現「RI現象」暴力增強 這4地風雨最強

Nov 14, 2024 地方新聞 IDOPRESS

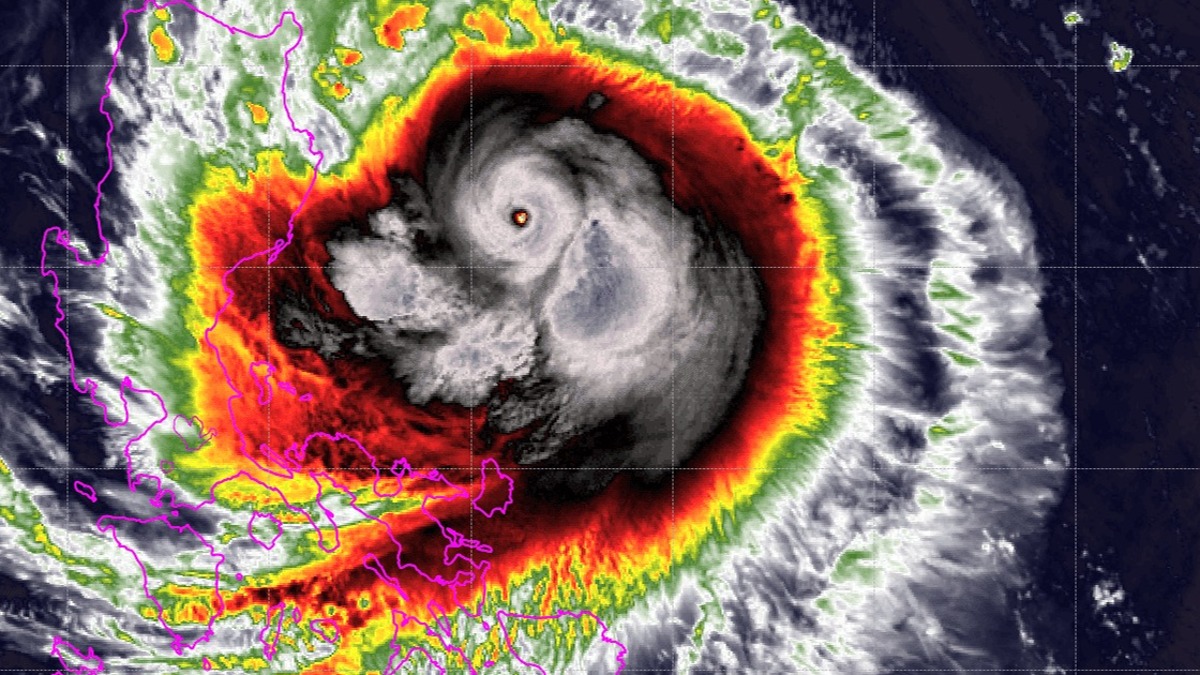
天兔的強度因RI現象而有暴力性增強。(圖/翻攝自天氣職人-吳聖宇 臉書)

中央氣象署今(14日)凌晨5點30分對中颱天兔發布海警,並預計在下半天發布陸警。天氣風險公司資深顧問吳聖宇則指出,天兔昨晚出現RI現象(Rapid Intensification;意即快速增強)後,風力從75節暴增到115節,更有機會上升到130節,台東、恆春、綠島及蘭嶼要特別注意。

吳聖宇在臉書「天氣職人-吳聖宇」表示,天兔在昨天下午2點到同晚8點的短短6小時內,近中心最大風速從75節增強到115節,未來還可能再上升到130節。天兔的強度暴增,可能與「天兔的細小範圍,在合適大氣條件以及海溫配合下,出現RI現象」有關,這也是預報模式掌握不到的情況。

快捷蒐索

台灣綜合性全球新聞網站。網站主要通報公共事務、地方新聞和企業新聞公告,為大眾提供全面、包容的資訊。

© 環球每日新聞